Bebauungsplan Nr.14 Sondergebiet „Wochenendhausgebiet Herrenberge“
Bebauungsplan Nr.14 Sondergebiet „Wochenendhausgebiet Herrenberge“ der Stadt Freyburg (Unstrut)
Veröffentlichung im Internet und Öffentliche Auslegung des Entwurfs gem. § 3 Abs.2 BauGB
-------------------------------------------------------
Der Gemeinderat der Stadt Freyburg (Unstrut) hat am 09.12.2025 in seiner öffentlichen Sitzung den Entwurf des Bebauungsplanes Nr. 14 Sondergebiet „Wochenendhausgebiet Herrenberge“ in der Fassung vom 26.11.2025 gebilligt und zur Veröffentlichung gemäß § 3 Abs. 2 BauGB für die Dauer eines Monats bestimmt (Beschluss Nr. GR Frey-2025/758).
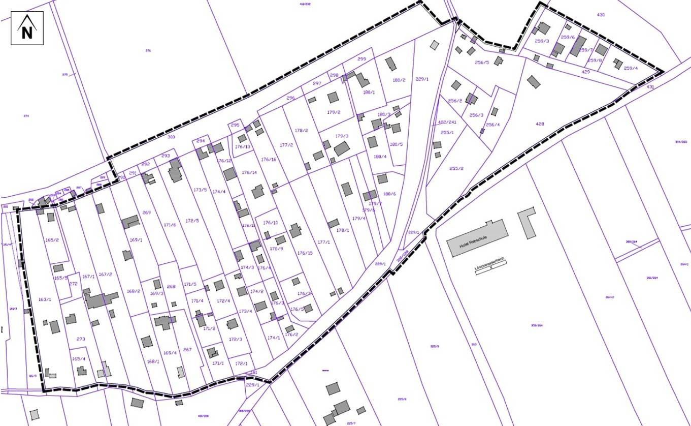
Das Plangebiet des Bebauungsplanes Nr. 14 Sondergebiet „Wochenendhausgebiet Herrenberge“ liegt nördlich der Freyburger Ehrauberge an einem Hang, südöstlich der Ortslage Freyburg (Unstrut).
Der Geltungsbereich umfasst folgende Grundstücke:
163/1 teilweise; 165/2; 165/4 teilweise; 165/5; 167/1 teilweise; 167/2 teilweise; 168/1 teilweise 168/2; 169/1; 169/3; 169/4 teilweise; 171/1 teilweise; 171/2; 171/4; 171/5; 171/6; 172/1 teilweise 172/3; 172/4; 172/5; 173/4; 173/5; 174/1; 174/2; 174/3; 174/4; 176/2; 176/3; 176/4; 176/5; 176/7; 176/9; 176/10 176/11; 176/12; 176/13; 176/14; 176/15; 176/16; 177/1; 177/2; 178/1; 178/2; 179/2; 179/3; 179/4; 179/6; 179/7; 180/1; 180/2; 180/3; 180/4; 180/5; 180/6; 181; 229/1; 249/1 teilweise; 255/1; 255/2; 256/2; 256/3; 256/4; 256/5; 258 (neu: 428); 259/3; 259/4; 259/6; 259/7; 259/8; 259/9 (neu: 429); 267 teilweise; 268 teilweise; 269; 272; 273 teilweise; 281 teilweise; 290 teilweise; 291 - 299; 300 teilweise; 308/228 und 402/241, Flur 7 Gemarkung Freyburg.
Mit dem Beschluss Nr. GR Frey-2025/758 wurde der Geltungsbereich um Teile der Flurstücke 181 und 308/228 (siehe Abb. unten) erweitert.
Weiterhin wurde festgestellt, dass es infolge der Fortschreibung des Liegenschaftskatasters folgende Änderungen gegeben hat:
alte Flurstücksnummer -> neue Flurstücksnummer
258 -> 428
259/9 -> 429
263 -> 431 (Weg südlich außerhalb des Geltungsbereiches)
Diese Änderungen wurden im Geltungsbereich vermerkt werden hiermit ebenfalls bekannt gemacht.
Mit dem Beschluss zur Aufstellung des Bebauungsplanes wurden folgende städtebaulichen Ziele definiert:
Mit dem B-Plan soll eine städtebauliche Ordnung der bestehenden Nutzungsstrukturen (Wochenendhausgebiet) sowie die Unterbindung der unkontrollierten Entwicklung von dauerhaften Wohnnutzungen im Wochenendhausgebiet geregelt werden.
Dabei soll im Bebauungsplanverfahren auch geprüft werden, inwieweit eine gebiets- und umweltverträgliche Nachverdichtung mit Wochenendhäusern im Gebiet möglich ist.
Auslegungszeit
Der Planentwurf mit den nachfolgend genannten Auslegungsunterlagen liegt in der Zeit vom:
07.01.2026 bis zum 09.02.2026
während folgender Dienstzeiten
Montag: von 09.00 - 12.00 Uhr und 13.00 - 15.00 Uhr
Dienstag: von 09.00 - 12.00 Uhr und 13.00 - 18.00 Uhr
Mittwoch: von 09.00 - 12.00 Uhr und 13.00 - 15.00 Uhr
Donnerstag: von 09.00 - 12.00 Uhr und 13.00 - 16.00 Uhr
Freitag: von 09.00 - 12.00 Uhr
in bei der Verbandsgemeinde Unstruttal, Markt 1, 06632 Freyburg (Unstrut) im Foyer des Bauamtes zu jedermanns Einsicht öffentlich aus.
Darüber hinaus besteht die Möglichkeit zur Erörterung des Planungsinhaltes während der Dienststunden. Eine telefonische Terminvereinbarung mit dem zuständigen Mitarbeiter der Verwaltung unter Tel.-Nr. 034464/30055 oder E-Mail-Adresse bauamt@verbgem-unstruttal.de wird empfohlen.
Die Auslegungsunterlagen sind im Zeitraum der öffentlichen Auslegung auch elektronisch auf:
- der Internetseite der Verbandsgemeinde Unstruttal unter
https://www.verbgem-unstruttal.de/de/bekanntmachungen.html
- und auf dem Beteiligungsportal Sachsen-Anhalt – Zentrales Landesportal für Raumordnung und Bauleitplanung des Landes Sachsen-Anhalt unter
https://beteiligung.sachsen-anhalt.de/portal/verbgem-unstruttal/startseite
einsehbar.
Auslegungsunterlagen
Nachfolgende Unterlagen sind Bestandteil der öffentlichen Auslegung im Rahmen der förmlichen Öffentlichkeitsbeteiligung (§ 3 Abs. 2 BauGB
- Planzeichnung Teil A mit textlichen Festsetzungen Teil B i.d.F. vom 26.11.2025
- Begründung mit integriertem Umweltbericht i.d.F. vom 09.12.2025
- Folgende wesentliche umweltbezogene Stellungnahmen sowie Arten umweltbezogener Informationen liegen bereits vor:
- Landesverwaltungsamt Ref. 407 – Naturschutz (Stell. v. 25.03.2025) – Hinweis auf im Norden angrenzendes Landschaftsschutzgebiet „Unstrut-Triasland“
- Burgenlandkreis (Stell. v. 22.04.2025)
o Untere Naturschutzbehörde
Hinweis auf Grenzverläufe des LSG; Hinweise zur Anwendung der Eingriffsbilanzierung und der Kompensation von Eingriffen; zur Zerstörung von Biotopstrukturen und zur max. festgesetzten Größe der Grundfläche der Wochenendhäuser.
Hinweis auf das Vorhandensein von geschützten Biotopen gemäß § 30 BNatSchG und § 22 NatSchG LSA.
Hinweis auf die Einschränkungen der §§ 39; 40 und 44 BNatSchG
o Untere Wasserbehörde
Hinweise zur Abwasserentsorgung und Genehmigungspflicht
o Untere Abfall- und Bodenschutzbehörde
Hinweise auf Bodenveränderungen durch Starkregenereignisse
o Untere Immissionsschutzbehörde
Hinweise zu Feuerungsanlagen und Heizungen
o UVP-Stelle
Allg. Hinweise zur Umweltprüfung
- Amt für Landwirtschaft, Flurneuordnung und Forsten (Stell. v. 16.04.2025)
o Hinweise zu Weinbauflächen und deren Überplanung
o zum sparsamen Umgang mit Grund und Boden
o keine Inanspruchnahme von landwirtschaftlichen Flächen zur Realisierung von Ausgleichs- und Ersatzmaßnahmenmaßnahmen
o Konfliktpotential durch Nachbarschaft von Weinbau und Wochenendhausgebiet
o Hinweise zum Erosionsschutz und Bodenveränderungen
- Landesamt für Geologie und Bergwesen (Stell. v. 08.04.2025)
Hinweise zu subrosionsgefährdeten Horizonten und Untergrundversickerung
Verfahren zur Abgabe von Stellungnahmen
Während der Auslegungsfrist können von Jedermann Stellungnahmen zum Entwurf des Bebauungsplanes Nr. 14 Sondergebiet „Wochenendhausgebiet Herrenberge“ vorgebracht werden. Die Übermittlung der Stellungnahmen kann auf elektronischem Wege an
bauamt@verbgem-unstruttal.de erfolgen.
Des Weiteren können Stellungnahmen auch schriftlich über den Postweg an die Verbandsgemeinde Unstruttal, Markt 1, 06632 Freyburg (Unstrut) gesandt oder während der Öffnungszeiten bzw. nach gesonderter Terminabsprache mündlich oder zur Niederschrift vorgebracht werden.
Nicht fristgerecht abgegebene Stellungnahmen können gemäß. § 4a Abs. 5 BauGB i.V.m. § 3 Abs. 2 Satz 4 BauGB bei der Beschlussfassung über den Bauleitplan unberücksichtigt bleiben, sofern die Stadt Freyburg (Unstrut) deren Inhalt nicht kannte und nicht hätte kennen müssen und deren Inhalt für die Rechtmäßigkeit des Bauleitplans nicht von Bedeutung ist.
Ein Antrag nach § 47 der Verwaltungsgerichtsordnung ist unzulässig, soweit mit ihm Einwendungen geltend gemacht werden, die vom Antragsteller im Rahmen der Auslegung nicht oder verspätet geltend gemacht wurden, aber hätten geltend gemacht werden können.
Ergänzend wird darauf hingewiesen, dass eine Vereinigung im Sinne des § 4 Abs. 3 Satz 1 Nr. 2 des Umwelt-Rechtsbehelfsgesetzes in einem Rechtsbehelfsverfahren nach § 7 Abs. 2 des Umwelt-Rechtsbehelfsgesetzes gemäß § 7 Abs. 3 Satz 1 des Umwelt-Rechtsbehelfsgesetzes mit allen Einwendungen ausgeschlossen ist, die sie im Rahmen der Auslegungsfrist nicht oder nicht rechtzeitig geltend gemacht hat, aber hätte geltend machen können.
Datenschutz
Die Verarbeitung personenbezogener Daten erfolgt auf der Grundlage der Datenschutzgrundverordnung (DSGVO). Es wird darauf aufmerksam gemacht, dass Dritte (Privatpersonen) mit der Abgabe einer Stellungnahme der Verarbeitung ihrer angegebenen Daten, wie Name, Adressdaten und E-Mail-Adresse zustimmen. Gemäß Art. 6 Abs. 1c EU-DSGVO werden die Daten im Rahmen des Bauleitplanverfahrens für die gesetzlich bestimmten Dokumentationspflichten und für die Informationspflicht ihnen gegenüber genutzt.
Freyburg (Unstrut), den 23.12.2025
U. Mänicke
Bürgermeister
| Symbol | Beschreibung | Größe |
|---|---|---|
| BP14 Freyburg_Unstrut_Planzeichnung mit textl.Festsetzungen_2025-11-26.pdf |
2.4 MB | |
| BPlan14 -Bekanntmachung_Veröffentlichung-2025-12-09.pdf |
0.3 MB | |
| 1a_LVWA-Ref407.pdf |
7.7 KB | |
| 2_SN-BLK_BBP14-Herrenberge.pdf |
0.5 MB | |
| 3_ALFF.pdf |
4.6 MB | |
| 8_LAGB.pdf |
0.3 MB | |
| Begründung_2025-12-09.pdf |
3 MB |












